Siêu bão Sinlaku đổi hướng, liệu có vào Biển Đông?
Cơ quan khí tượng đưa ra nhận định về đường đi của siêu bão Sinlaku, đồng thời dự báo xác suất siêu bão đi vào Biển Đông.
Báo VTV ngày 13/4/2026 đăng tin: “Siêu bão Sinlaku đổi hướng, liệu có vào Biển Đông?”, cập nhật tình hình bão mới nhất như sau:
Sinlaku đã mạnh cấp siêu bão với cường độ cấp 16, giật trên cấp 17 vào tối qua (12/4). Đây là cơn bão thứ 4 hoạt động trên khu vực Tây Bắc Thái Bình Dương và là siêu bão đầu tiên hoạt động trên khu vực này trong mùa bão lũ năm nay. Sinlaku cũng là một trong số rất ít cơn siêu bão xuất hiện ngay trong tháng 4.
Sau khi mạnh lên thành siêu bão, siêu bão Sinlaku sẽ đổi hướng di chuyển lên phía Bắc, sau đó nhiều khả năng tiếp tục đổi hướng một lần nữa thành hướng Bắc Đông Bắc vào khoảng ngày 16-17/4 và di chuyển tới vùng biển phía Đông của Nhật Bản, cường độ sẽ giảm cấp dần.

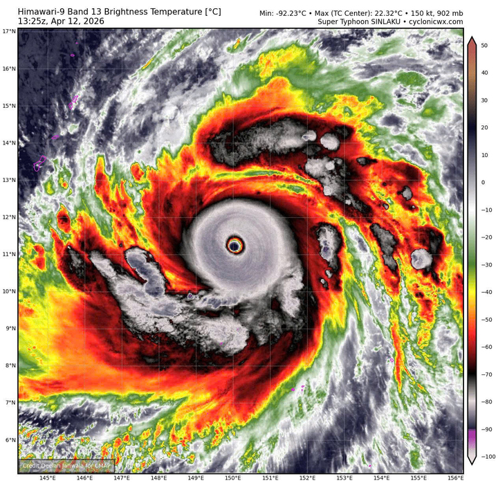
Sinlaku là một trong số rất ít cơn siêu bão xuất hiện ngay trong tháng 4. (Nguồn: NCHMF)
Hiện tại, các dự báo bão đều cho thấy bão không có khả năng đi vào khu vực Biển Đông. Trung tâm Dự báo khí tượng thủy văn vẫn đang theo dõi sát diễn biến của siêu bão đầu mùa này.
Trung tâm Dự báo khí tượng thuỷ văn quốc gia nhận định, đây là cơn bão đầu tiên trong năm 2026 đạt cường độ này, đồng thời là lần đầu xuất hiện trong tháng 4 kể từ bão Surigae (2021) và chỉ là lần thứ ba kể từ năm 1977.
Sinlaku cũng là cơn bão mạnh nhất thế giới trong năm 2026 (tính đến thời điểm hiện tại), vượt qua bão Maila ở khu vực Úc.
Theo dự báo của cơ quan khí tượng, từ tháng 4-6, bão hoặc áp thấp nhiệt đới hoạt động trên khu vực Biển Đông và ảnh hưởng trực tiếp đến đất liền tương đương trung bình nhiều năm (trung bình nhiều năm trên Biển Đông 1,8 cơn, đổ bộ vào đất liền 0,3 cơn).
Trong 3 tháng tiếp theo (tháng 7-9), hoạt động của bão hoặc áp thấp nhiệt đới trên Biển Đông và đổ bộ vào đất liền nước ta cũng ở mức tương đương trung bình nhiều năm với 6,5 cơn trên Biển Đông, đổ bộ vào đất liền 2,9 cơn.
Các đợt mưa vừa, mưa to có khả năng xuất hiện ở Bắc Bộ, Bắc Trung Bộ, cao nguyên Trung Bộ và Nam Bộ trong thời kỳ dự báo, nguy cơ gia tăng các hiện tượng thời tiết cực đoan như dông, lốc, sét, mưa đá và gió giật mạnh trên cả nước.
Báo Tiền phong trong ngày 13/4 cũng đăng bài: “Vì sao cơn bão mạnh nhất thế giới 2026 Sinlaku được gọi là “cơn bão cưa máy”?”, nội dung cho biết:
Bão Sinlaku đã trở thành cơn bão mạnh nhất thế giới 2026, tính đến thời điểm này. Không chỉ đang tạo ra nhiều kỷ lục, bão Sinlaku còn được gọi là cơn bão “cưa máy” hay “cưa đĩa” vì hình dáng của nó. Vậy một cơn bão có hình giống lưỡi cưa máy thể hiện điều gì?
Càng ngày, dường như những cơn bão mạnh xuất hiện càng thường xuyên hơn. Không chỉ vậy, chúng xuất hiện cả vào những thời điểm vốn ít khi có bão, chứ đừng nói là siêu bão.
Thật vậy, bây giờ còn chưa đến giữa tháng 4 mà ở Tây Bắc Thái Bình Dương đã có một siêu bão: Sinlaku (cơn bão này dự báo không vào Biển Đông).
Tối 12/4, Trung tâm Cảnh báo Bão Liên hợp (JTWC) của Mỹ đã nâng Sinlaku lên cấp siêu bão, với sức gió 280 km/h (vượt xa cấp 17). Theo Trung tâm Dự báo Khí tượng Thủy văn Quốc gia nước ta, Sinlaku chính thức là cơn bão mạnh nhất thế giới năm 2026, tính đến thời điểm này, “soán ngôi” bão Maila.
JTWC ghi nhận bão Sinlaku có sức gió 280 km/h vào thời điểm tối 12/4 – sức gió thật sự đáng sợ. Ảnh: Zoom Earth, JMA/ NOAA/ CIRA, Himawari.
Sinlaku cũng đã ghi tên mình vào danh sách những kỷ lục: Nó là một trong 3 cơn bão mạnh nhất ở thời điểm tháng 4 kể từ năm 1977. Nó cũng là cơn bão đầu tiên trong năm 2026 đạt cường độ như trên, và đây cũng là lần đầu tiên xuất hiện một cơn bão mạnh như vậy trong tháng 4 kể từ bão Surigae năm 2021.
Chưa hết, siêu bão Sinlaku còn gây ấn tượng với hình dáng giống y như một lưỡi cưa máy (hoặc cưa đĩa).
Theo trang KXAN (của đài NBC, Mỹ) và Popular Science, “cơn bão cưa máy” là cách gọi một cơn bão rất mạnh, có sức tàn phá lớn, và trên ảnh vệ tinh, trông nó giống một lưỡi cưa máy với những đám mây nhọn ở vành.
Đây là hình ảnh cơn bão “giống lưỡi cưa máy”. Ảnh: Himawari.
Không chỉ vậy, hình dạng cơn bão cưa máy còn có tính đối xứng – đặc điểm của những cơn bão rất mạnh, nhất là bão mạnh lên nhanh chóng. Một số người theo dõi bão nhận xét rằng, khi một cơn bão trông đối xứng và như lưỡi cưa máy thì chứng tỏ nó có tất cả các yếu tố cần thiết để đạt đến mức mạnh nhất – hoặc có thể gọi là… tệ nhất.
Mắt bão Sinlaku cực kỳ tròn và sắc nét, cho thấy nó là một cơn bão rất mạnh. Ảnh: Backpirch Weather.
Theo trang Guam Pacific Daily News, siêu bão Sinlaku đang di chuyển chậm về phía Quần đảo Bắc Mariana.
Việc một cơn bão như Sinlaku xuất hiện vào thời điểm này cho thấy các cơn bão ngày càng trở nên phức tạp, dị thường.