Bão số 6 chủ yếu tác động trực tiếp đến khu vực biển miền Trung gây mưa lớn cho nhiều tỉnh, thành từ khoảng chiều tối 26/10. Trọng tâm mưa lớn rơi vào 5 tỉnh từ Quảng Bình – Quảng Nam, nguy cơ ngập úng, sạt lở.
Chiều nay (25/10), ông Hoàng Phúc Lâm, Phó Giám đốc Trung tâm Dự báo khí tượng thủy văn quốc gia cho biết, bão Trà Mi đã trở thành cơn bão số 6 trong năm 2024. Từ chiều qua đến hôm nay, bão di chuyển tương đối ổn định và khá nhanh với tốc độ 15-20km/h, đang hướng về khu vực quần đảo Hoàng Sa.
Trong 24 đến 48 giờ tới, bão cũng vẫn di chuyển ổn định và cường độ còn mạnh thêm.
“Cường độ cực đại theo chúng tôi dự báo khi bão ở phía Đông của quần đảo Hoàng Sa, có thể đạt cấp 11-12, giật cấp 15”, ông Lâm nói.

Về khả năng xảy ra tương tác với không khí lạnh, ông Lâm cho biết, khi bão vào đến khu vực quần đảo Hoàng Sa có xu hướng di chuyển chậm lại, cường độ yếu dần do có bộ phận không khí lạnh từ phía Bắc di chuyển xuống phía Nam. Sau đó, nhiều khả năng bão suy yếu còn cấp 7-8 và có xu hướng đi ngược ra ngoài.TS. Hoàng Phúc Lâm, Phó Giám đốc Trung tâm Dự báo khí tượng thủy văn quốc gia trả lời báo chí về diễn biến bão số 6 chiều 25/10
Theo ông Lâm, thời điểm này, bão duy trì tương đối lâu dẫn đến tình trạng khu vực Giữa và Nam Biển Đông hình thành dải hội tụ nhiệt đới, gây mưa kéo dài cho khu vực Trung Bộ.
Ông Lâm cũng thông tin, một kịch bản khác ít khả năng hơn là khi bão vào khu vực Hoàng Sa tương tác với không khí lạnh có suy yếu đi, nhưng vẫn di chuyển vào bờ và suy yếu ở trên khu vực đất liền nước ta. Kịch bản này xảy ra thấp hơn so với khả năng bão trôi vào phía Nam và di chuyển ra ngoài.

Kịch bản sau được nhận định khoảng 60%, kịch bản đi vào đất liền khoảng 30%.
Tuy nhiên, ông Lâm lưu ý: “Kể cả 2 kịch bản thì chúng tôi vẫn nhấn mạnh vấn đề mưa lớn ở Trung Trung Bộ. Đây là khu vực chịu ảnh hưởng rõ nhất của cơn bão số 6.Hướng di chuyển của bão số 6 chiều 25/10. Nguồn: NCHMF
Từ khoảng chiều tối và đêm 26/10, các tỉnh từ Hà Tĩnh đến Quảng Ngãi sẽ xuất hiện một đợt mưa vừa, mưa to đến rất to. Trong đó, trọng tâm mưa sẽ rơi vào các tỉnh Quảng Bình, Quảng Trị, Thừa Thiên Huế và Đà Nẵng đến Quảng Nam.
Cụ thể, từ chiều tối và đêm 26 đến 28/10, ở khu vực Quảng Trị đến Quảng Ngãi có mưa to đến rất to với tổng lượng mưa phổ biến từ 300-500mm, cục bộ có nơi trên 700mm. Cảnh báo nguy cơ có mưa cục bộ cường suất lớn (>100mm/3h). Khu vực Hà Tĩnh – Quảng Bình, Bình Định và Bắc Tây Nguyên có mưa to, cục bộ có nơi mưa rất to với tổng lượng mưa từ 100-200mm, có nơi trên 300mm”.
Mưa lớn khả năng gây ngập úng ở một số tỉnh miền Trung. Ảnh minh họa mưa ngập TP Huế hồi tháng 10/2023: Đình Thành
Đồng thời, ông Lâm cảnh báo, cần lưu ý mưa lớn tập trung trong thời gian ngắn, khi bão tiến sát bờ biển Việt Nam, khả năng là nguy cơ lũ quét và sạt lở đất. Ngoài ra, ở Đà Nẵng cũng đã từng xảy ra ngập úng đô thị khi lượng mưa lên đến 400-500mm trong vòng 1 ngày thì lần này cũng có thể xảy ra nguy cơ. Thứ ba là trên sông, hồ chứa với lượng mưa lớn khiến mực nước dâng cao.
Bão số 6 sẽ chủ yếu tác động trực tiếp đến khu vực biển miền Trung vùng từ Hà Tĩnh trở vào đến Bình Định khiến gió mạnh cấp 6-8, vùng gần tâm bão cấp 9-10, sóng cao 4-6m, biển động rất mạnh, mưa giông nhiều.
Ông Lâm nhấn mạnh, nguy cơ cao nhất trong 1-2 ngày tới, khi bão vẫn còn trên biển là tàu thuyền và các hoạt động đánh bắt thủy hải sản trên biển; sau đó đến vùng ven biển liên quan đến các lồng bè, khu nuôi trồng thủy hải sản, neo đậu tàu thuyền…

Theo các chuyên gia khí tượng, diễn biến bão số 6 còn rất phức tạp và có thể có thay đổi, chính quyền và người dân cần lưu ý cập nhật trong các bản tin bão tiếp theo.
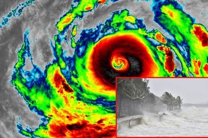
Đến 13h chiều 25/10, vị trí tâm bão ở trên vùng biển phía Đông của khu vực Bắc Biển Đông, cách quần đảo Hoàng Sa khoảng 560km về phía Đông Đông Bắc. Sức gió mạnh nhất vùng gần tâm bão mạnh cấp 10 (89-102km/h), giật cấp 12. Di chuyển theo hướng Tây Tây Bắc, tốc độ 15-20km/h. Từ 72 đến 120 giờ tiếp theo, bão di chuyển chủ yếu theo hướng Đông mỗi giờ đi được 5-10km, cường độ tiếp tục suy yếu thêm.
Do ảnh hưởng của bão số 6, khu vực Bắc Biển Đông gió mạnh cấp 8-9, vùng gần tâm bão đi qua cấp 10-12 (89-133km/h), giật cấp 15, sóng biển cao 5-7m, vùng gần tâm bão 7-9m; biển động dữ dội. Từ gần sáng 27/10, vùng biển các tỉnh từ Quảng Bình đến Quảng Ngãi (bao gồm huyện đảo Cồn Cỏ, Lý Sơn) có gió mạnh dần lên cấp 6-7, sau tăng lên cấp 8-9, vùng gần tâm bão đi qua cấp 10-11, giật cấp 14, sóng biển cao 3-5m, vùng gần tâm bão 5-7m; biển động dữ dội.
Tàu thuyền hoạt động trong các vùng nguy hiểm nói trên (đặc biệt trên khu vực huyện đảo Hoàng Sa) đều có khả năng chịu tác động của giông, lốc, gió mạnh, sóng lớn.